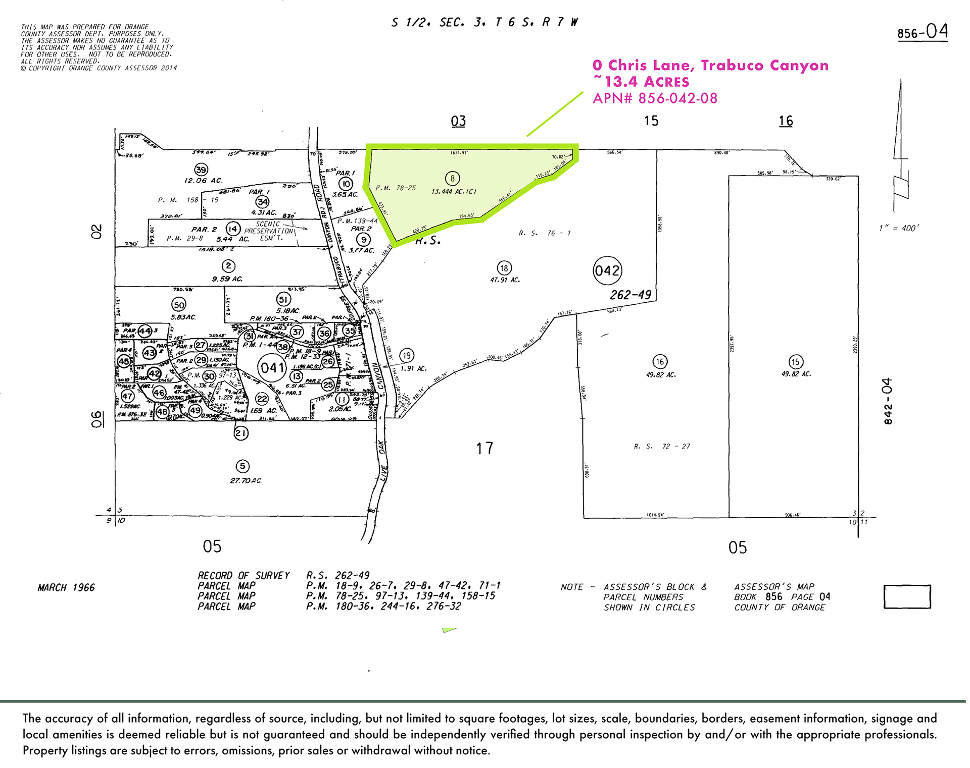
PLEASE NOTE - All maps, exhibits, drawings and information provided here for general informational purposes only. Neither Seller nor Broker makes any guarantees to their accuracy. Buyer to perform their own due diligence and have the property surveyed at their own expense.





PLEASE NOTE - All maps, exhibits, drawings, boundaries and information provided here is for general informational purposes only. Neither Seller nor Broker makes any guarantees to their accuracy. Buyer to perform their own due diligence and have the property surveyed at their own expense.